Company Logo

Please Call For Address, Heber Springs, AR 72543

$22,000
  • Please Call For Address, Heber Springs, AR 72543 Main Photo

2 Total Photos [Click to View All]

Featured Listing Under Contract
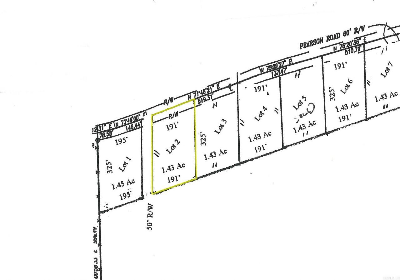
LOT SIZE 1.430 acres MLS#25026429
STATUSUnder Contract PROPERTY TYPELand - Residential NEIGHBORHOODHEBER SPRINGS

Property Description

Beautiful tree-covered residential lot in a restricted unrecorded subdivision ready for your new home.

| MLS# 25026429

This land located at , Heber Springs, AR 72543 is currently listed for sale by Crye*Leike Brock Real Estate, with an asking price of $22,000. The property has approximately 1.43 Acres. Search Heber Springs real estate on www.clhomes.com today.

Property Features

Property Type: Land - Residential
Lot Size: 1.43 Acres
Taxes: $135

Feature Descriptions

Days on Site: 305
Lot descriprion: Rural Property, Wooded, Not in Subdivision, Out of City, Unimproved, River/Lake Area
Lot Dimensions: 1.43 acre(s)
Road: Paved
Sewer: Septic
Wooded: Yes

Listed By / Shown By

Listed By

Agency Name: Crye*Leike Brock Real Estate
Agency Phone: (501) 691-2000
Agent Name: Roger Pettit

Source: Arkansas MLS

Estimate Your Payment

Estimated Payment

$ 66.63 per month $48.96 Principal & Interest $11.25 Property Tax $6.42 Homeowner's Insurance

Change Payment Information

%
years/fixed
yearly
yearly (est.)
(Payments are an estimate and may vary by lender)

Login to My Homefinder

Pixel