Company Logo

1265 Mcgavock Pike, Nashville, TN 37216

$925,000
  • 1265 Mcgavock Pike, Nashville, TN 37216 Main Photo

3 Total Photos [Click to View All]

Active
LOT SIZE 0.450 acres MLS#3011239
STATUSActive PROPERTY TYPELand - Residential SUBDIVISIONKenmore Place

Property Description

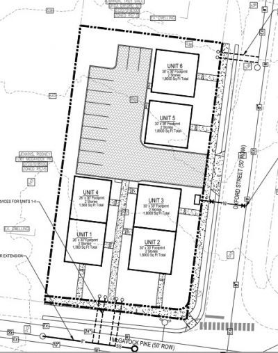
Preliminary SP Approved. Lot is approved for six homes. Excellent walkability to Riverside Village, which includes staples such as Mitchell's Deli, Dose Cafe, Village Pub and Beer Garden and more. Short drive to iconic East Nashville dining options Audrey, Folk, Rosepepper, Five Daughters, Margot, Lockeland Table and more. Close to lifestyle amenities such as Shelby Bottoms Park and the Shelby Golf Course. Only 10 minutes to Downtown Nashville!

1265 Mcgavock Pike | MLS# 3011239

This land located at 1265 Mcgavock Pike, Nashville, TN 37216 is currently listed for sale with an asking price of $925,000. The property has approximately 0.45 Acres. Search Nashville real estate on www.clhomes.com today.

Property Features

Property Type: Land - Residential
Lot Size: 0.45 Acres
Taxes: $1,220

Feature Descriptions

Days on Site: 214
Lot: Corner Lot
Lot Dimensions: 100 X 195
Parcel#: 07207018300
Sewer: Public Sewer
Topography: Corner Lot
Utilities: Water Available
Water: Public

Local Schools

High School: Stratford STEM Magnet School Upper Campu
Middle School: Isaac Litton Middle
Elementary School: Inglewood Elementary

Listed By / Shown By

Listed By

Agency Name: The Sapphire Group Real Estate
Agency Phone: 6155510818

Shown By

Agency Title: Crye-Leike Real Estate Services
Agency Phone: 866-253-4666

IDX logo

Source: Nashville MLS

Estimate Your Payment

Estimated Payment

$ 2,430.11 per month $2,058.65 Principal & Interest $101.67 Property Tax $269.79 Homeowner's Insurance

Change Payment Information

%
years/fixed
yearly
yearly (est.)
(Payments are an estimate and may vary by lender)

Login to My Homefinder

Pixel